Photography
Video
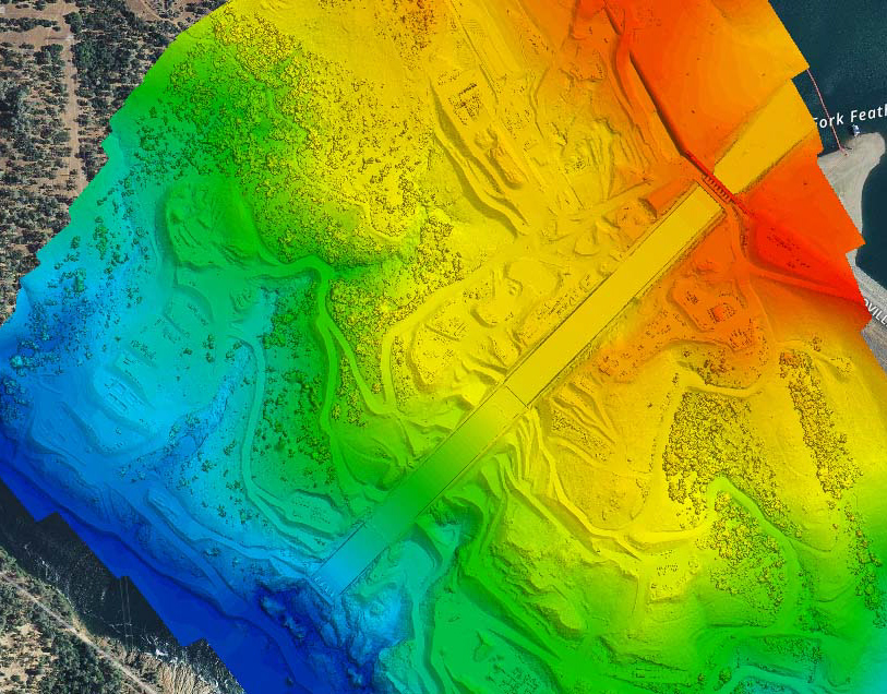
3D Mapping
Contact Me
John Watson
Photography - Video - Drone Pilot
Photography
Video
3D Mapping
Contact Me
Photography
2020
Video
2020
3D Mapping
2020
↑Back to Top
Powered by Adobe Portfolio